Thời tiết cực đoan khiến châu Á gánh phần lớn thảm họa toàn cầu năm 2025
Bốn trong 6 thảm họa thời tiết gây thiệt hại lớn nhất toàn cầu năm 2025 xảy ra tại châu Á.

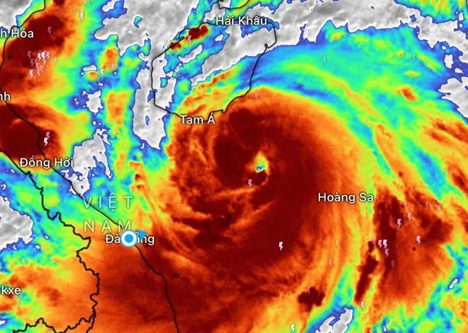
Thời tiết cực đoan gây nhiều bão trong năm 2025. Trong ảnh là tâm bão số 5 Kajiki ngày 24.8.2025. Ảnh: Cyclonix.com
Theo báo cáo mới công bố của tổ chức Christian Aid, châu Á chiếm tới 4 trong 6 thảm họa thời tiết gây thiệt hại kinh tế lớn nhất toàn cầu trong năm 2025.
Riêng tại Nam Á, các trận lũ lụt lịch sử ở Ấn Độ và Pakistan đã cướp đi sinh mạng hơn 1.860 người, gây thiệt hại lên tới 6 tỉ USD. Pakistan chịu ảnh hưởng đặc biệt nặng nề, với hơn 7 triệu người bị tác động.
Ở Đông Nam Á, Philippines hứng chịu chuỗi bão mạnh khiến hơn 1,4 triệu người phải sơ tán, thiệt hại kinh tế vượt 5 tỉ USD.
“Tổn thất của các thảm họa do biến đổi khí hậu gây ra đang đè nặng lên ngân sách công của nhiều quốc gia Nam Á, Đông Nam Á, và con số này sẽ còn tăng nếu không có hành động mang tính quyết định” - ông Graham Gordon, Trưởng bộ phận vận động chính sách toàn cầu của Christian Aid, cảnh báo.
Theo ông Gordon, ưu tiên hàng đầu hiện nay là chuyển dịch nguồn lực từ ứng phó khẩn cấp sang phòng ngừa rủi ro. “Đầu tư sớm cho khả năng chống chịu rẻ hơn rất nhiều so với việc tái thiết sau khi lũ lụt đã cuốn trôi nhà cửa, sinh kế và hạ tầng” - ông nhấn mạnh.
Báo cáo cũng chỉ ra nghịch lý đáng lo ngại: Những quốc gia nghèo, đóng góp rất ít vào cuộc khủng hoảng khí hậu, lại là nơi hứng chịu những thiệt hại nặng nề nhất và có ít nguồn lực để tự ứng phó.
Ở quy mô toàn cầu, Mỹ đứng đầu danh sách thiệt hại trong năm nay do các vụ cháy rừng ở California gây tổn thất khoảng 60 tỉ USD và làm hơn 400 người thiệt mạng.
Tuy nhiên, các cơn bão và lũ quét tấn công Đông Nam Á vào tháng 11, khiến hơn 1.750 người tử vong, xếp thứ hai về mức độ tàn phá.
Lũ lụt tại Trung Quốc, làm hàng nghìn người phải di dời và ít nhất 30 người thiệt mạng, được ước tính gây thiệt hại khoảng 11,7 tỉ USD.
Các chuyên gia cho rằng, châu Á không thể ngăn hoàn toàn mưa cực đoan, nhưng có thể giảm mạnh tổn thất nhờ đầu tư vào hệ thống cảnh báo sớm, nâng cao năng lực phòng chống thiên tai và bảo vệ các vùng đất ngập nước, bãi bồi tự nhiên. Tuy vậy, thích ứng thôi là chưa đủ.
“Nếu phát thải toàn cầu không được cắt giảm nhanh chóng, mưa lớn và lũ lụt sẽ còn trầm trọng hơn” - ông Gordon cảnh báo, kêu gọi các quốc gia đẩy mạnh năng lượng tái tạo và sớm chấm dứt các khoản đầu tư mới vào nhiên liệu hóa thạch.
Quan điểm này được nhiều nhà khoa học ủng hộ. Giáo sư danh dự Joanna Haigh (Đại học Imperial College London) khẳng định: “Những thảm họa này không hề tự nhiên. Chúng là hệ quả có thể dự đoán được của việc mở rộng nhiên liệu hóa thạch và sự trì hoãn chính trị”.
Báo cáo mới nhất của World Weather Attribution cho thấy nhiệt độ toàn cầu năm 2025 ở mức “đặc biệt cao”, với các đợt nắng nóng dữ dội hơn nhiều so với một thập kỷ trước, đẩy hàng triệu người tiến sát “giới hạn thích ứng”.
Đáng chú ý, dù chịu ảnh hưởng của La Nina - hiện tượng thường đi kèm nhiệt độ toàn cầu mát hơn - năm 2025 vẫn nằm trong 3 năm nóng nhất từng được ghi nhận.



